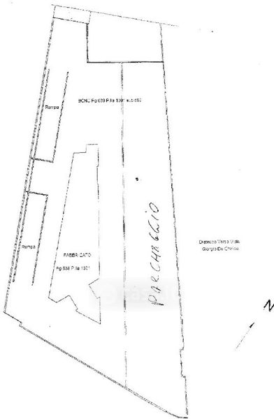
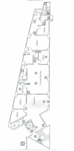
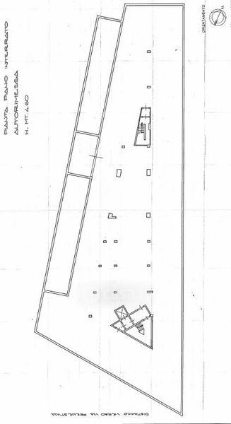
Edificio in affitto Viale Giorgio De Chirico 142, Roma
Salva
Casa.it
1/45
  • Street View
  • Map