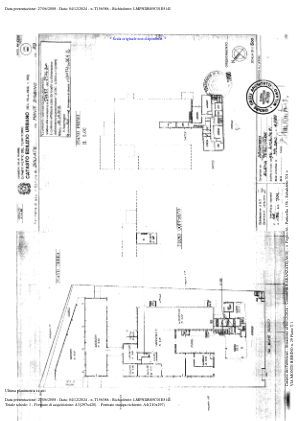
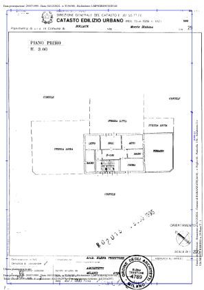
Edificio in vendita Via Monte Bisbino 29, Baranzate
Salva
Casa.it
1/43
  • Street View
  • Map