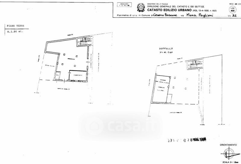
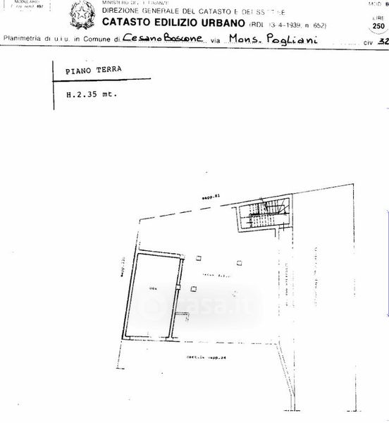
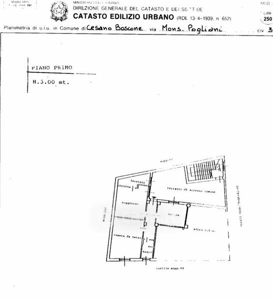
Edificio in vendita Via Monsignor Pogliani , Cesano Boscone
Salva
Casa.it
1/57
  • Street View
  • Map