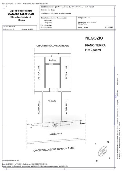
Negozio/Locale commerciale in affitto Circonvallazione Gianicolense 67, Roma
Salva
Casa.it
1/13
  • Street View
  • Map