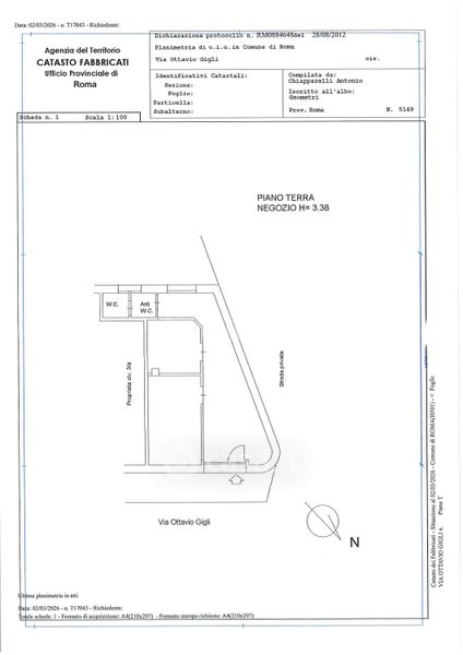
Negozio/Locale commerciale in affitto Via Ottavio Gigli , Roma
Salva
Casa.it
1/10
  • Street View
  • Map