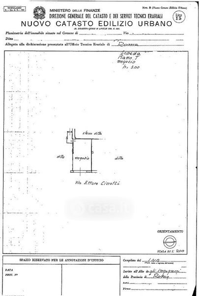
Negozio/Locale commerciale in affitto Via Ettore Ciccotti , Roma
Salva
Casa.it
1/11
  • Street View
  • Map