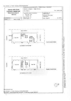
Negozio/Locale commerciale in affitto Via Sestri , Genova
Salva
Casa.it
1/12
  • Street View
  • Map