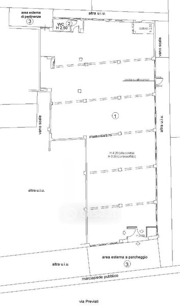
Negozio/Locale commerciale in vendita Via Gaetano Previati 179, Lavagna
Salva
Casa.it
1/14
  • Street View
  • Map