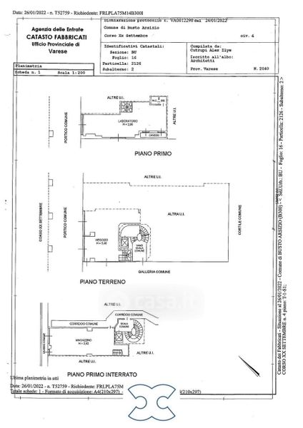
Negozio/Locale commerciale in vendita Corso XX Settembre 4, Busto Arsizio
Salva
Casa.it
1/6
  • Street View
  • Map