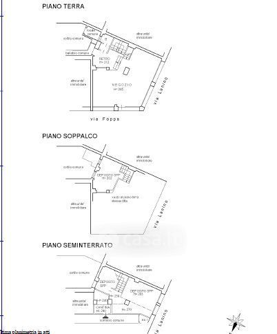
Negozio/Locale commerciale in vendita Via Vincenzo Foppa 25, Milano
Salva
Casa.it
1/7
  • Street View
  • Map