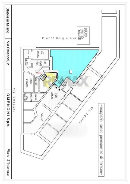
Negozio/Locale commerciale in affitto Via degli Omenoni 2, Milano
Salva
Casa.it
1/9
  • Street View
  • Map