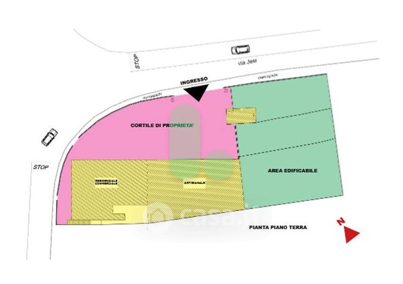
Negozio/Locale commerciale in vendita Via di Jesi 239, Osimo
Salva
Casa.it
1/12
  • Street View
  • Map