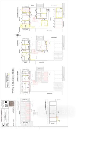
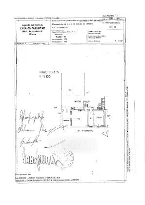
Rustico/Casale in vendita Via IV Novembre 22, Corsico
Salva
Casa.it
1/37
  • Street View
  • Map