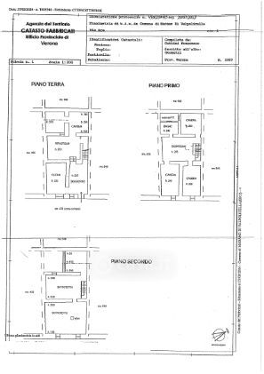
Rustico/Casale in vendita Via Are 5, Marano di Valpolicella
Salva
Casa.it
1/29
  • Street View
  • Map