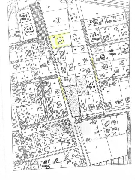
Terreno edificabile in vendita Via Monte Terminillo , Latina
Salva
Casa.it
1/19
  • Street View
  • Map