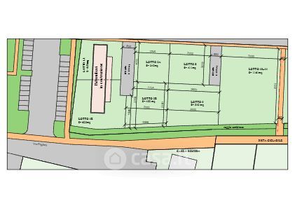
Terreno edificabile in vendita Via V. Pagliari 44, Crema
Salva
Casa.it
1/5
  • Street View
  • Map