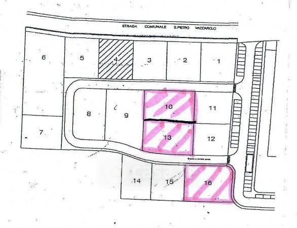
Terreno edificabile in vendita Via Vaccarolo , Desenzano del Garda
Salva
Casa.it
1/12
  • Street View
  • Map