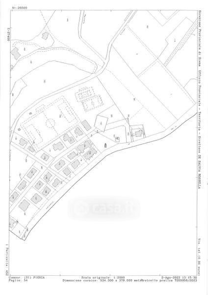
Terreno edificabile in vendita Via della Salle , Pienza
Salva
Casa.it
1/2
  • Street View
  • Map