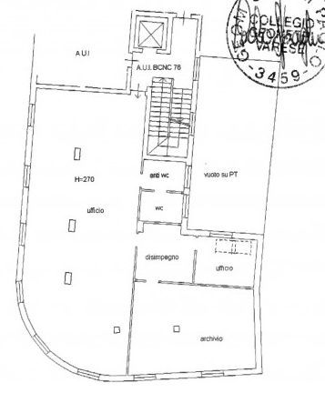
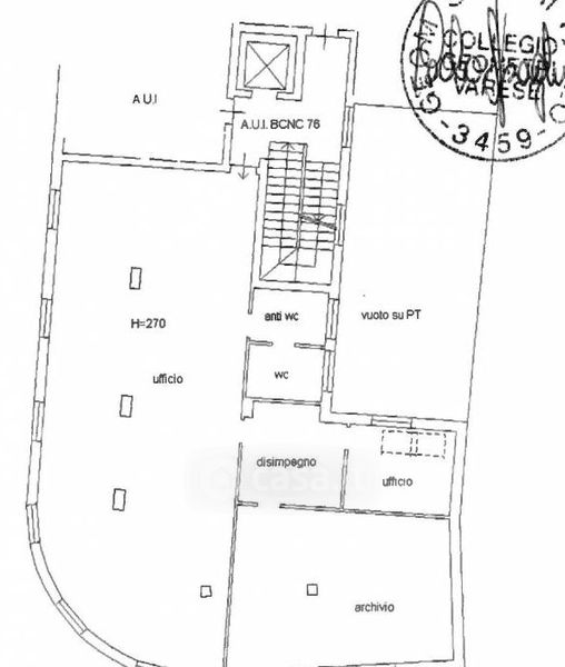
Ufficio in vendita Via Cardinal Simone , Busto Arsizio
Salva
Casa.it
1/20
  • Street View
  • Map