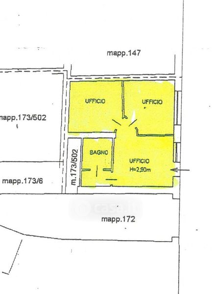
Ufficio in affitto Borgo San Pietro , Crema
Salva
Casa.it
1/14
  • Street View
  • Map