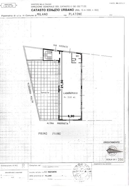
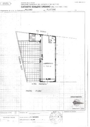
Ufficio in affitto Via Socrate 71, Milano
Salva
Casa.it
1/32
  • Street View
  • Map