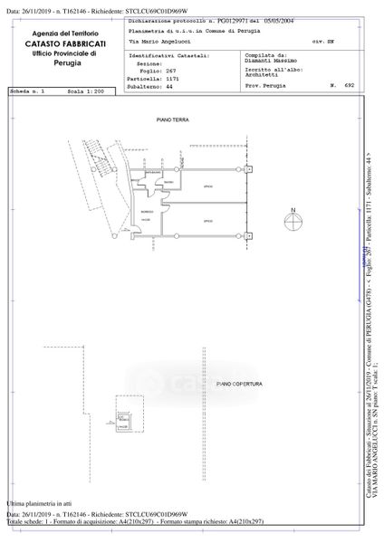
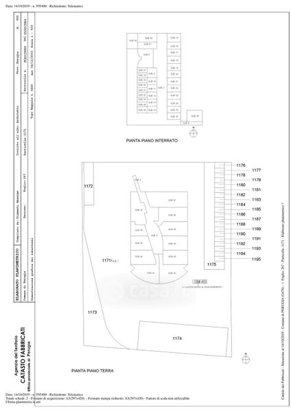
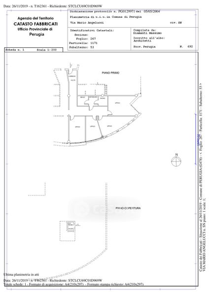
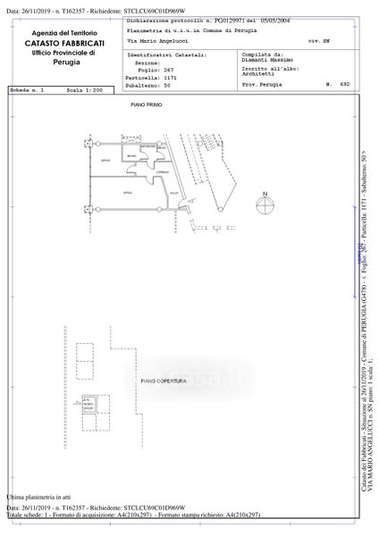
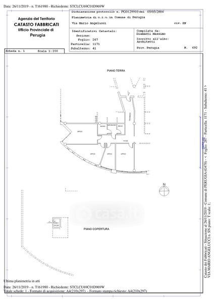
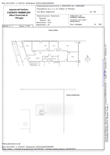
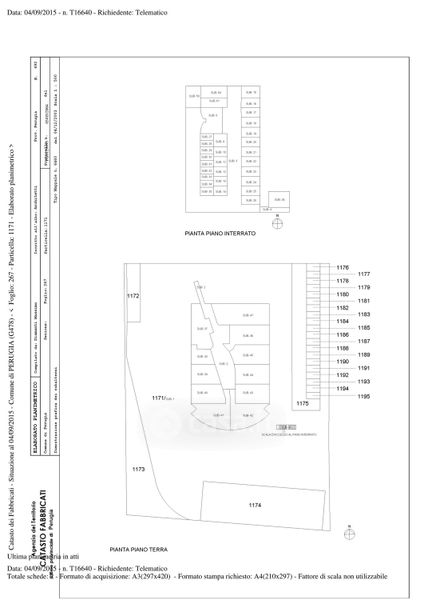
Ufficio in vendita Via Mario Angelucci 32, Perugia
Salva
Casa.it
1/75
  • Street View
  • Map