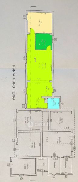
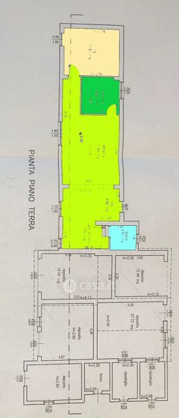
Villa in vendita SP20 , Moscufo
Salva
Casa.it
1/42
  • Street View
  • Map