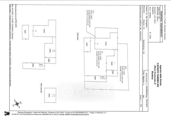
Villa in vendita Via Viazza 109, San Prospero
Salva
Casa.it
1/23
  • Street View
  • Map