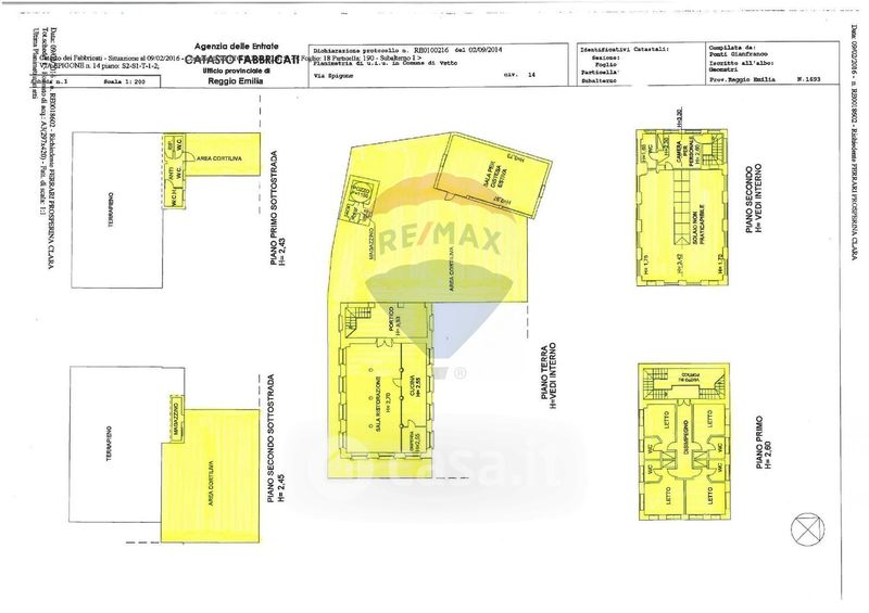
Villa in vendita Strada Spigone 14, Vetto
Salva
Casa.it
1/43
  • Street View
  • Map