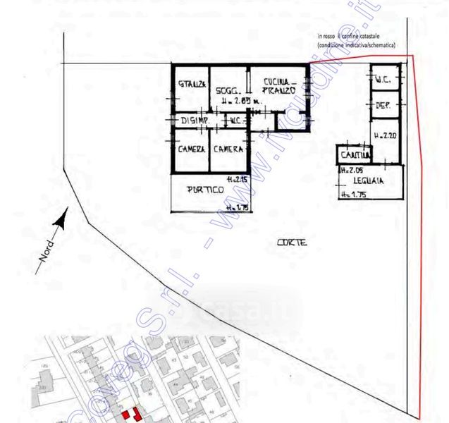
Villa in vendita Via Toppo Wassermann , San Giorgio di Nogaro
Salva
Casa.it
1/41
  • Street View
  • Map