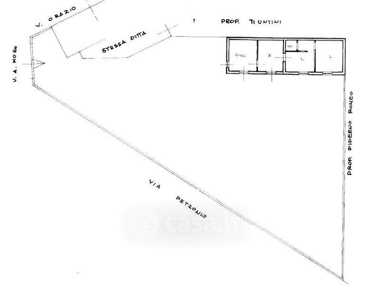
Villa in vendita Via Aldo Moro 8, Anzio
Salva
Casa.it
1/35
  • Street View
  • Map