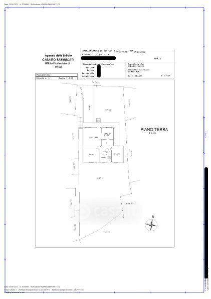
Villa in vendita Via C. Cavour 3, Chignolo Po
Salva
Casa.it
1/44
  • Street View
  • Map