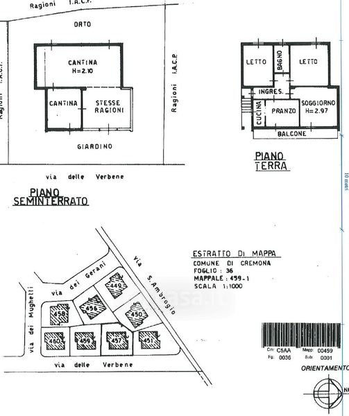
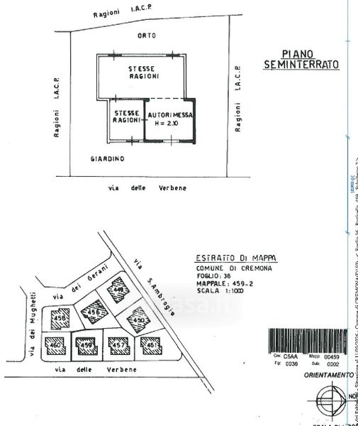
Villa in vendita Via delle Verbene 5, Cremona
Salva
Casa.it
1/22
  • Street View
  • Map