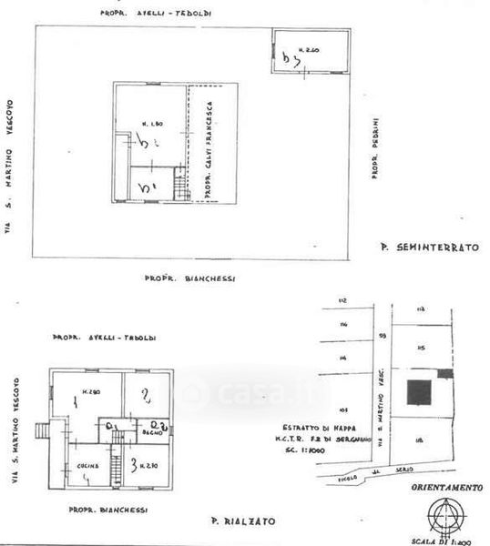
Villa in vendita Via San Martino Vescovo 8, Sergnano
Salva
Casa.it
1/53
  • Street View
  • Map