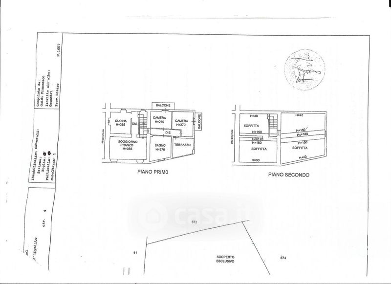
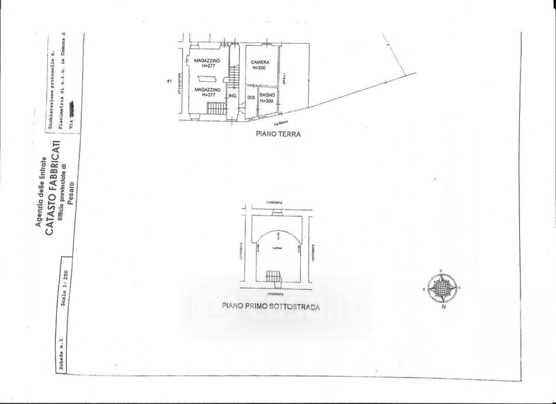
Villa in vendita Via Roma , Sant'Ippolito
Salva
Casa.it
1/22
  • Street View
  • Map