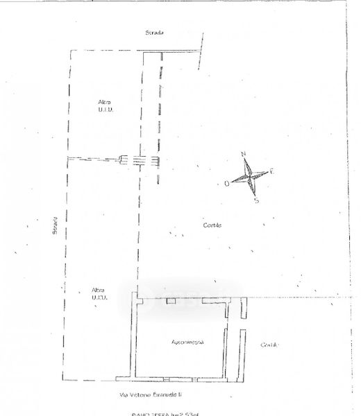
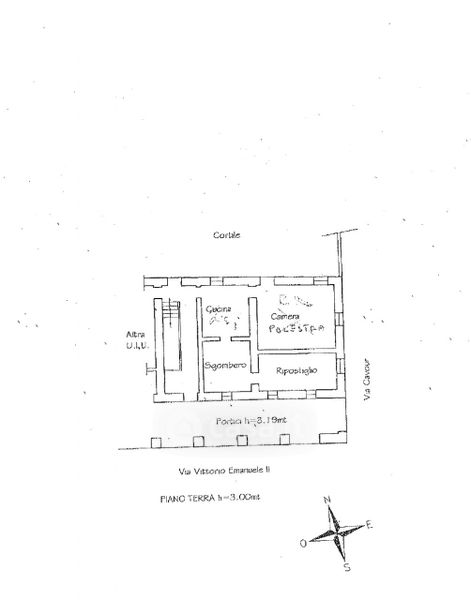
Villa in vendita Strada Provinciale 31 6 -2, Occimiano
Salva
Casa.it
1/72
  • Street View
  • Map