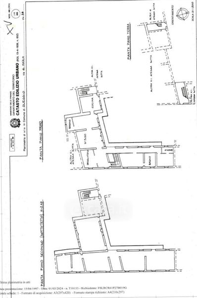
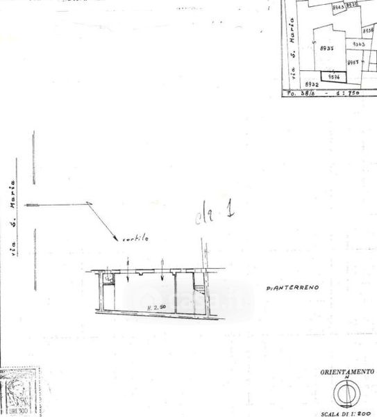
Villa in vendita Via Santa Maria , Oleggio
Salva
Casa.it
1/41
  • Street View
  • Map