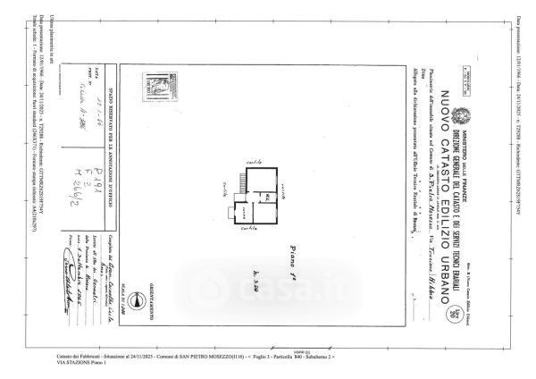
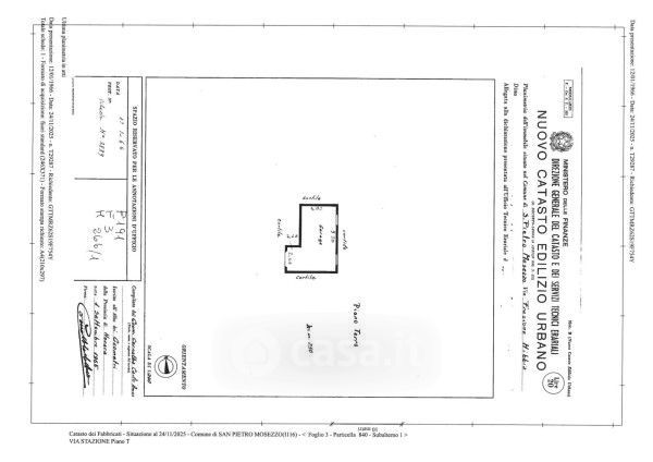
Villa in vendita Via Stazione 27, San Pietro Mosezzo
Salva
Casa.it
1/21
  • Street View
  • Map