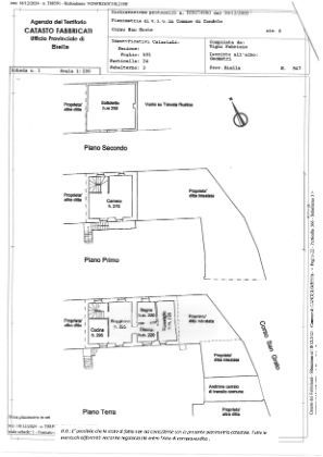
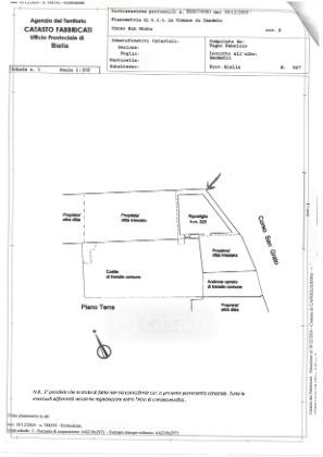
Villetta a schiera in vendita Corso San Grato 8, Candelo
Salva
Casa.it
1/47
  • Street View
  • Map