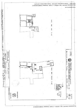
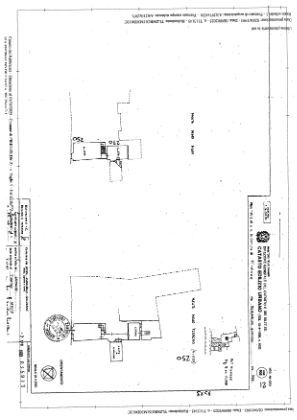
Villetta a schiera in vendita Via Reginaldo Giuliani 398, Firenze
Salva
Casa.it
1/8
  • Street View
  • Map