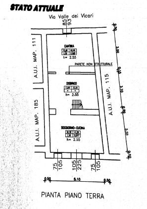
Villetta a schiera in vendita Via Valle dei Vicari , Arcugnano
Salva
Casa.it
1/12
  • Street View
  • Map