Appartamento in vendita Via don Silvio Coira , Basiglio
Basiglio - Centro Storico27mq
5locali

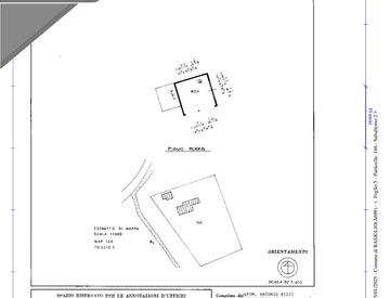
Box pertinenziale Villino al rustico oggetto d'intervento edilizio non ultimato con permesso di costruire spirato Area cortilizia esterna di circa mq 2.600, ente urbano terreno pertinenziale che sviluppa una superficie commerciale lorda di circa mq 3230 Terreno pertinenziale che sviluppa superficie comm lorda di circa mq 1960
.
AFFARI all'ASTA
Offriamo assistenza qualificata a privati e investitori per l’acquisto sicuro e consapevole di immobili provenienti da aste giudiziarie, pre-asta, saldo e stralcio e compravendite immobiliari tradizionali.
L’attività viene svolta con professionalità, trasparenza e metodo, affiancando il Cliente in ogni fase del percorso, anche senza esperienza nel settore.
È possibile partecipare alle aste comodamente da remoto, senza alcun vincolo di distanza e senza necessità di presenza fisica.
Prenota ora la tua CONSULENZA GRATUITA!
- Analisi giuridica e procedurale dell’operazione immobiliare.
- Verifica catastale e urbanistica, esame della perizia del Tribunale e valutazione economica reale dell’immobile.
- Valutazione di eventuali opportunità in pre-asta e operazioni di saldo e stralcio
- Stima completa dei costi di aggiudicazione e degli eventuali interventi per sanare difformità o abusi.
- Supporto nella verifica della fattibilità di mutuo o soluzioni finanziarie.
- Eventuale richiesta di visita dell’immobile tramite il custode giudiziario delegato.
In caso di incarico, Affari all’Asta segue il Cliente fino alla conclusione dell’operazione, offrendo assistenza sia pre che post aggiudicazione.
Consulenza gratuita – compenso previsto solo in caso di effettivo avvio dell’operazione.
Affari all’Asta
Via Giuseppe Tartini, 12 – Milano....
Aggiornato il 20 Febbraio 2026Scrivi qui le tue note private sull'annuncio
Caratteristiche immobile
- Stato al Rogito:occupato
- Bagni:2
- Locali:5
- Metri quadri:27
- Condizioni:abitabile
- Asta:sì
- Ascensore:sì