Villa in vendita Via Ara 12, Maracalagonis
Baccu Mandara-Torre delle Stelle€ 398.000
141mq
5locali

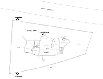
Torre delle Stelle, nella rinomata località lungo la costa verso il litorale per Villasimius, a circa 30 minuti dall'aeroporto, famosa per la sabbia chiarissima e l'acqua cristallina, proponiamo la vendita di una villa singola libera su quattro lati, totalmente al piano terra con accogliente terrazza a livello e ampia vista panoramica, all'interno di un lotto di mq. 960, a poco più di 300 metri dalla bellissima spiaggia di Canne e Sisa, facilmente...
Aggiornato il 13 Marzo 2026Scrivi qui le tue note private sull'annuncio
Caratteristiche immobile
- Stato al Rogito:libero
- Bagni:2
- Locali:5
- Metri quadri:141
- Condizioni:abitabile
- Anno di costruzione:1973
- Totale piani:1
- Posti Auto:3
- Riscaldamento:autonomo
- Giardino:privato
- MQ Giardino:960
- Terrazzo:sì
Esplora la zona della villa
Aiutaci a migliorare il servizio: se l'annuncio non è veritiero o l'immobile non è più disponibile, .
Contatta l'inserzionistaCodice annuncio: 53032687 Rif: Torre delle Stelle Villa Singola a 300 metri dal m
Altre ville simili su Attico.it
Riferimento Imm: Torre delle Stelle Villa Singola a 300 metri dal m
Codice: 53032687